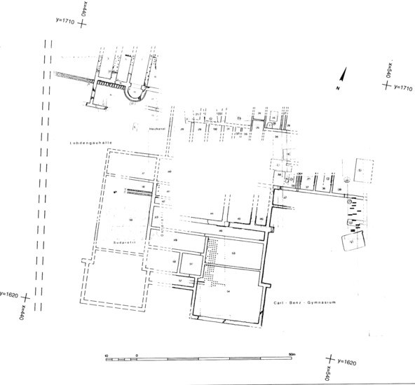
Lopodunum
-Ladenburg. Plan of the “palace”. (from: Ladenburg. Aus 1900 Jahren Stadtgeschichte, 148)